When Is The Next Irma Update
MIAMI — The National Hurricane Centre upgraded Hurricane Irma back to a Category v on Friday night, as the storm remained extremely powerful and forecasters warned of hurricane-like atmospheric condition all the fashion into Central Florida.
The middle issued a hurricane warning for near of South Florida equally Irma connected its devastating march beyond the Caribbean, blasting 155 mph winds and leaving a trail of destruction in its wake. Governors of 4 Southeast states declared emergencies.
Here is what we know:
Where is Hurricane Irma now?
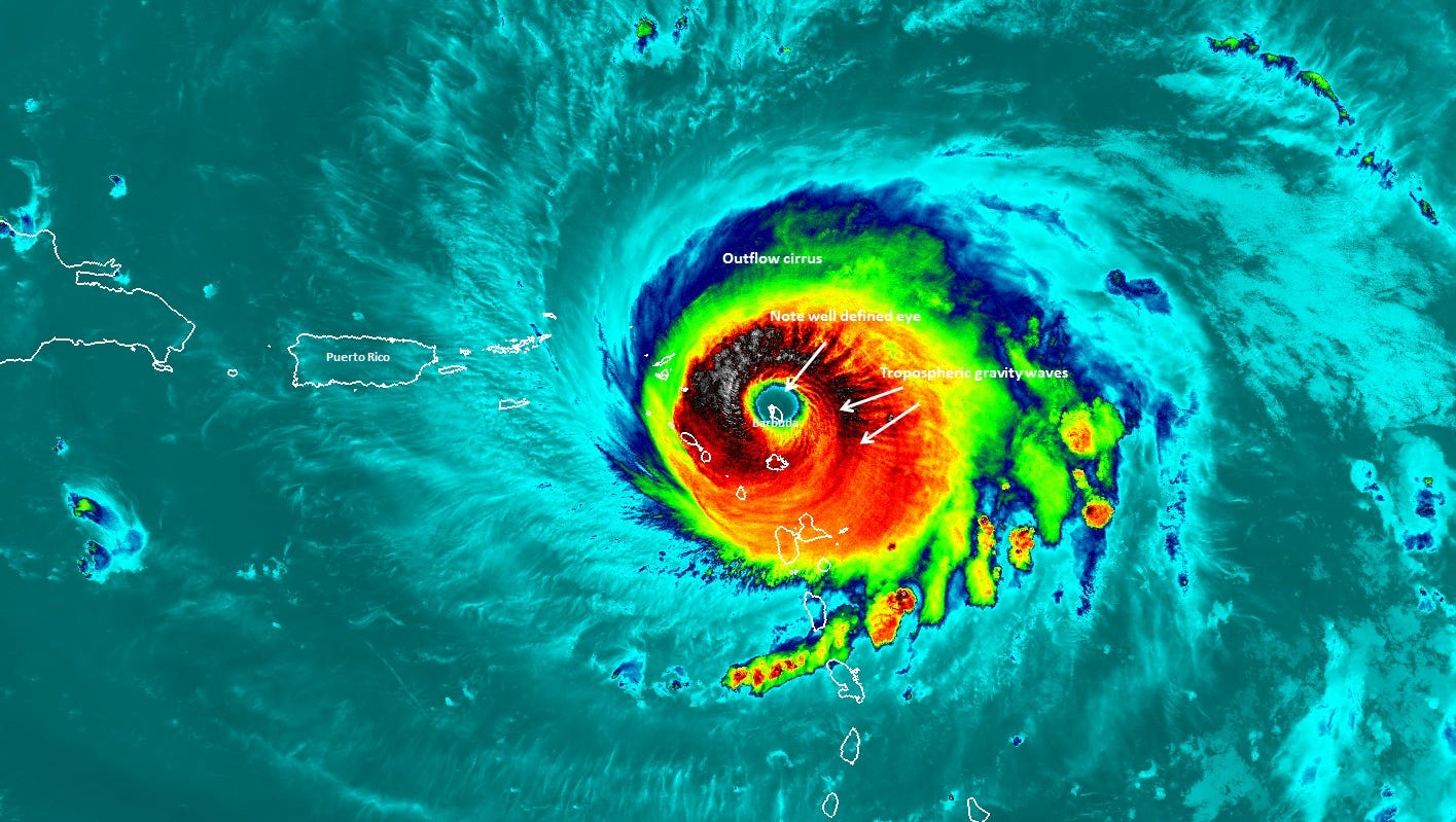
As of 11 p.chiliad. ET, Hurricane Irma'due south winds were measured at 160 mph, according to the National Hurricane Center. The center of the hurricane was located well-nigh 300 miles south by southeast of Miami and was moving to the west at 13 mph. Irma made landfall at the Camaguey Archipelago in Cuba.
Where is Hurricane Irma heading?
On the current forecast track, the eye of Irma should continue to move near the north coast of Cuba and the fundamental Bahamas for the residual of Friday dark and Saturday, and be almost the Florida Keys and the southern Florida peninsula Dominicus morning, the hurricane center said.
What office of Florida is under the hurricane warning?
The National Hurricane Middle had initially issued a hurricane warning for most of S Florida. Belatedly Fri afternoon, the hurricane warning had been extended north toward the key function of the state, including the east coast of Florida to Sebastian Inlet, and along the west coast of the peninsula northward to Anna Maria Isle, southwest of Tampa.
A hurricane watch has been extended n forth the west coast of Florida to Suwannee River. A Storm Surge Spotter has been issued north of Venice to the Anclote River, including Tampa Bay, and from Ponce Inlet to the Flagler-Volusia County Line, according to the hurricane eye.
Will Hurricane Irma striking Florida?
The National Hurricane Center'south forecast path for Irma has it hitting South Florida, including Miami and perhaps its highly adult and expensive cardinal region, then up through affluent Broward and Palm Beach counties and farther north, threatening the entire peninsula.
"I'one thousand afraid Irma is going to track too far west and put most of due south Florida right in the eyewall," Colorado Country University meteorologist Phil Klotzbach said.
Ryan Rogers, a meteorologist with the National Weather Service in Mobile, Ala., said the agency is confident the storm will plough to the north at some signal after making landfall in South Florida, but information technology remains unknown exactly when that volition happen.
When will Hurricane Irma hit Florida?
Most models have lrma making landfall in Florida sometime early on Lord's day, but wind and h2o volition exist diggings the state earlier that. Irma is forecast to remain strong every bit information technology heads north, so it's unclear how far upwardly state the storm'south power will exist felt.
"It'southward non a question of if Florida'southward going to be impacted, it's a question of how bad Florida's going to be impacted and where the tempest ends upwardly," Brock Long, administrator of the Federal Emergency Management Bureau, told reporters Friday.
How strong will Irma be when it hits?
The hurricane center said some fluctuations in strength are probable over the next day or two but Irma is expected to stay a Category iv tempest through landfall in Florida.
What is the biggest concern from the storm?
A fast-moving storm ways the region could avert the unrelenting rains that Harvey brought to Texas. Florida Gov. Rick Scott, who announced the endmost of all land schools, colleges and universities through Monday, warned state residents that even if their town is spared the brunt of Irma'south wind and rain, there are other dangers. "My biggest business concern is the amount of storm surge this tempest will bring," Scott said from the country Emergency Operations Center in Tallahassee. "This tin can kill you lot."
Scott added on Friday afternoon, "We will quickly run out of skillful weather to evacuate."
Should I be worried virtually Hurricanes Jose and Katia?
Two additional hurricanes, Jose and Katia, are roaring in the Atlantic Bowl, and neither volition hit the U.S. but other countries will be impacted.
Over the weekend, Jose could slam into some of the same Caribbean islands flattened by Irma just a few days ago, the National Hurricane Center said.
A hurricane watch has been posted for Antigua and Barbuda, parts of which sustained catastrophic damage from Irma. Torrential rainfall from the hurricane could produce "life-threatening flooding" by Sat across both islands. The British Virgin Islands are besides in Jose'due south path.
Meanwhile, hurricane warnings were issued from Cabo Rojo to Laguna Verde in Mexico every bit 100-mph Hurricane Katia takes aim on that nation's e declension.
The storm has claimed at to the lowest degree 20 lives in the Caribbean.
President Trump weighs in
President Trump took to Twitter Friday forenoon to urge Americans along Irma's path to take necessary precautions and "get out of its way, if possible."
"This is a tempest of admittedly historic, destructive potential," Trump said in a video message posted on social media Friday morning. "I inquire everyone in the tempest's path to exist vigilant and to heed all recommendations from government officials and law enforcement. Null is more than of import than the safety and security of our people."
More than than 600,000 face evacuation orders
Florida, Georgia, South Carolina and Northward Carolina declared states of emergency ahead of the storm. In Miami-Dade County alone, about 660,000 residents are under evacuation orders.
The Florida Keys, Miami Beach, and parts of Broward County, home to Fort Lauderdale, were among areas under mandatory evacuation orders. Officials also announced mandatory evacuations of the Glades communities southward of Lake Okeechobee ahead of Hurricane Irma.
The U.Southward. Army Corps of Engineers predicts the Herbert Hoover Dike containing Lake Okeechobee "will not be compromised" past Hurricane Irma. But in that location are concerns that Irma'south winds could push h2o over the dike. The seven cities under mandatory evacuation orders are Southward Bay, Lake Harbor, Pahokee, Moore Oasis, Clewiston, Belle Glade and Canal Point.
The same area was hit back in 1928 by the Okeechobee hurricane, which made landfall with 145 mph winds. The dikes failed then and at least 2,500 people drowned, near of them farmworkers and their families.
In Georgia, Gov. Nathan Deal ordered evacuations along the coast. He has alleged a country of emergency for 30 Georgian counties and said it is "very likely" he'll be forced to expand the declaration to a larger swath of Georgia.
Evacuees facing unprecedented challenges
Hurricanes in Florida usually hit from the eastward or due west, allowing residents to abscond due north or southward to avert the damage. But with Irma projected to brand an unusual landfall from the due south, the behemoth could envelop the entire Florida peninsula. That has forced evacuees to drive further and farther due north.
Business nigh fuel shortages
Florida Gov. Rick Scott said his part is working with gas suppliers to ensure that gas stations along the Florida Turnpike and I-95 — the main highways leading out of Miami — are kept open up and stocked. Scott has asked gas stations in the evacuation zones to stay open as long as they can, and promised operators his administration will provide workers police escorts to evacuate the surface area when the time comes.
"We are devoting every state resources, and the federal government is working to attempt to brand sure we have all the fuel we can get here," Scott said Friday afternoon. "If you're in an evacuation zone in South Florida, just remember you need to leave now."
In Washington, the Trump assistants issued a waiver to a law known as the Jones Deed, which requires that only U.Southward.-flagged vessels tin carry domestic fuel shipments, said White House Homeland Security Adviser Tom Bossert.
The move is meant to assist "bring as much fuel as possible in to help Floridians," Bossert said.
Scott also urged Floridians who exercise not have enough fuel for their vehicles to phone call a state hotline at 1-800-342-3557 for assist in evacuating.
Can evacuees still fly out of South Florida?
Several of Florida'south busiest airports have already announced they'll suspend flights as Hurricane Irma advances toward the state. Orlando and Fort Lauderdale are amongst those to say flights will be halted. Other airports are likely to do the same if Irma's projected rail holds.
At Miami International Airport, broken-hearted fliers waited to see if their planes would depart, while airport personnel helped hundreds of others with already canceled flights evacuate Miami International Aerodrome for hurricane shelters Fri.
Many of the stranded travelers who didn't get out in time were visiting from away and spoke little English language, causing confusion about what was happening. Around 1 p.m. shuttles began collecting fliers and airport staff went person-to-person checking on needs.
By xi a.g. Friday, 271 departing flights and 324 arrivals were canceled at the airport, more than half its average daily schedule.
How bad could the damage be in Florida?
Florida has seen Category 5 hurricanes, with winds greater than Irma. Hurricane Andrew roared into South Florida 25 years ago, a fast-moving storm that flattened neighborhoods, tossed cars and trucks effectually similar Matchbox toys, and left millions without power. The tempest destroyed more than than 25,000 homes and damaged 100,000 others. An Andrew-like storm hitting downtown Miami could cause $300 billion in damage, according to one insurance underwriter.
How much impairment has Irma caused already?
After Irma struck Barbuda, its prime government minister called the island "barely habitable" and St. Martin, an island split between French and Dutch control, saw extensive damage and was most completely destroyed in places. In the U.South. Virgin Islands, Irma tore off roofs and crippled the only hospital on St. Thomas. The British government said the British Virgin Islands needs extensive humanitarian assistance. Destruction in Puerto Rico and Haiti does not appear to be as bad as feared.
What should I exercise almost my pet?
The American Veterinary Medical Association is reminding pet owners developing disaster plans to include pet evacuation kits. The list is all-encompassing. Important components include 3-seven days worth of nutrient, a two-calendar week supply of medicine, 7 days of water, a dish and water bowl, flea and tick prevention, ownership documents and some "comfort" toys. The Shelter Medicine Plan at the University of Florida, office of the land'due south disaster response system,says are many pet-friendly shelters that permit the whole family to stay together. "Do non go out your pet behind," the program urges. "If it's not safe for y'all, it'southward not safe for your pet."
What was the strongest storm to hitting U.Due south.?
The strongest storm e'er to make landfall in the U.S. striking on Sept. two, 1935. Hurricanes were not officially named dorsum then, but this one became known as the Florida Keys or Labor Twenty-four hours hurricane considering of where and when information technology hit. The hurricane slammed across South Florida with sustained winds of 185 mph, killing 423 people. Awful equally that tempest was, maybe the most horrific storm came 35 years earlier, flattening Galveston, Texas, and killing an estimated 6,000 to 8,000 people.
Contributing: Doyle Rice, Bart Jansen, Alan Gomez, Gregory Korte, Caryn Shaffer and Jospeh Bauccum
Source: https://www.usatoday.com/story/news/2017/09/08/hurricane-irma-where-category-4-storm-now-and-where-headed-next/645005001/
Posted by: hanchettlifeatchas.blogspot.com

0 Response to "When Is The Next Irma Update"
Post a Comment